发现了12万年前的足印,人类起源方式确定?我们其实来自非洲
发现了12万年前的足印,人类起源方式确定?我们其实来自非洲
发表在《科学进步》杂志上的一篇论文显示,科学家在沙特阿拉伯半岛的一处古老湖泊遗址中发现了7个古人类的足印化石。
这7个人的足印距今已经有12万年的历史,而这些足印的主人、以及它们要去的地方,揭示了现代人类的起源方式。

并验证了这么一个理论,人类的非洲起源假说。说白了,不管今天是生活在欧洲、亚洲、美洲的白人、黄种人、黑人,不管我们之间从外表上看差异有多大,我们都是同一人种,而非人科里的亚种。
原因就在于虽然各个不同地区的现代人类被万里重洋隔绝了数万年,但是等到我们再次相遇的时候,虽然感觉到对方的长相都很怪异,直觉告诉我们:我们是不同的人种。
但是事实证明我们都是一种人,因为我们之间没有生殖隔离,可以相恋可以生出健康而且非常优秀漂亮的混血宝宝。

从进化学的角度上说,这就说明我们时间上有着非常近的共同祖先,我们的起源方式一样,只是长久的地域隔离,让我们彼此遗忘了对方,也进化出了不同的外表。
走出非洲假说,指出了所有现代人的祖先都来自于非洲,它们在大约数十万年前从非洲开始,向着全球各个地方扩散,入侵;
每到一个地方它们就在那里扎根定居,适应当地的环境,征服自然,并且以自己更加先进的技术、文化取代了当地的古人种。

逐渐形成了现代人类分布的格局,它们是智人,它们是我们共同的祖先,我们都是智人的后代。
不过除了非洲单源假说以外,还有多源假说,认为目前各个地区的人,是由当地的土著古人种独立进化而来的,例如我们亚洲人是由生活在当地的直立人,如四五十万年的北京猿人进化而来的。
那么到底哪种是正确的呢?
这次科学家的发现就为人们揭示了12万年前的非洲智人是如何沿着古河流和湖泊向着欧亚大陆迁移的。

上图就是这次发现古代智人足迹的地方,位于阿拉伯半岛的奈福德沙漠。从地图上看,这个地方是连接着非洲和欧亚大陆的门户。
现在的奈福德沙漠,十分干旱,不适宜生存,任何生物也很难徒步穿越这个地方。
但是在数十万年前的这个地方可不是今天我们看到的沙漠,而是一个十分潮湿、树木郁郁葱葱的地方。
在其中发现的古湖泊、河流遗址就证明了这一点。

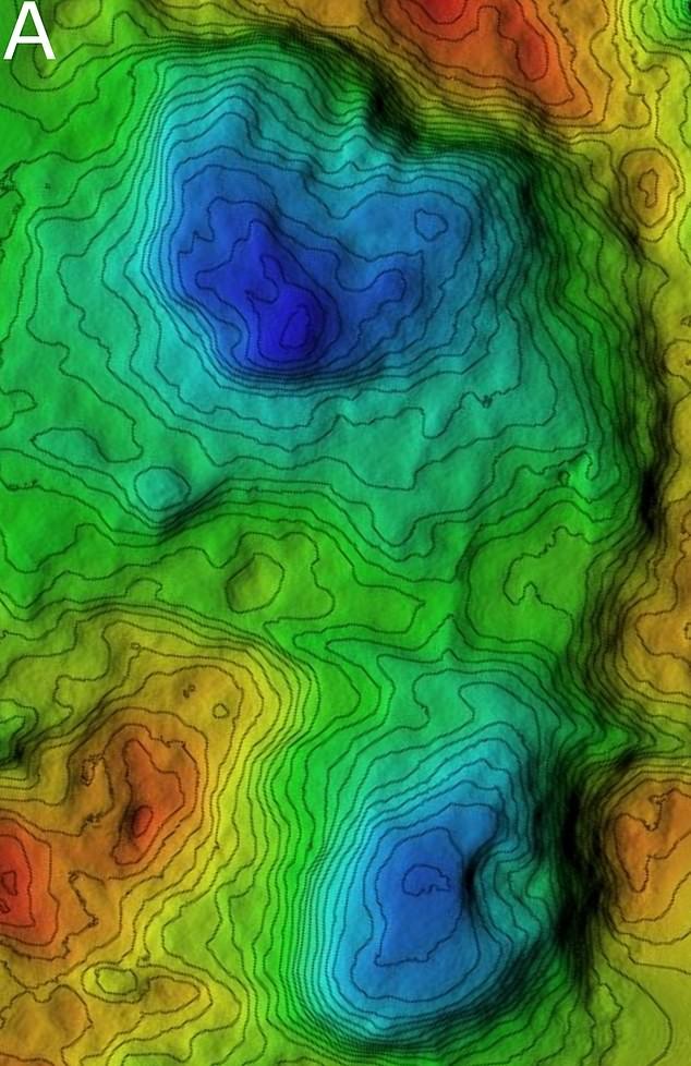
上图是阿拉塔古湖泊沉积物的遗址边缘,以及周围的景观。科学家在这里发现了7个古人类的足迹;
还有233块化石和369条动物足迹,其中包括44只大象和107只骆驼的脚印,这表明这个湖泊曾是一个非常受欢迎的水坑。
包括人类在内的,大部分动物都在迁徙的途中都会在这里取水。

很明显的大象和骆驼的脚印。

上图是古河床底部逐渐被风化侵蚀,显露出来的动物化石。

上图就是7个古智人脚印中的一个,那么你可能想知道的是,科学家是如何知道这个脚印就是智人的,而非能人、傍人或者是尼安德特人的。
毕竟相比于这些人种,智人出现的相对要晚一些。其他人种的迁移也会留下足迹化石。
下面我们简单的了解下人类大致的进化顺序,大致是这样的:

5600万年前恐龙灭绝以后,过了200到300万年,最早的灵长类动物祖先就出现了;
类人猿,也就是没有尾巴的灵长类,直到1500万年前,才从猴科中分化了出来;
大约700万年前,大猩猩以及红毛猩猩独立进化,和人类以及黑猩猩、倭黑猩猩的祖先分道扬镳。
大约550万年前,我们最为亲密的两个表兄弟和人类祖先“地猿”分离,这是我们已知最早的人类祖先。

大约400万年前,南方古猿从“地猿”进化而来,南方古猿的大脑和黑猩猩、倭黑猩猩容量相当,但是它们的身体特征、盆骨与现代人类相似。
大约290万年前,南方古猿阿尔法种出现,这是人类目前发现最早的古人类化石。

大约270万年前,南方古猿中分化出一只傍人,它们具有发达的下颚,生活在树林中。
大约230万年前,能人首先出现在非洲,它们拥有灵活的手制,能够制作简单的石质工具。
大约180万年前,在化石证据中发现了匠人存在的证据。

大约80万年前,人类掌握了火的使用,大量食用熟肉,使得人类寿命、大脑容量迅速增长。
大约40万年前,尼人出现,它们也是首支离开非洲大陆的古人类,并且迅速的遍布在了欧亚大陆。
直到大约30万到20万年前,我们先进人类的祖先智人才出现在非洲。

大约12万年前,智人才开始向各地迁徙。这个过程非常漫长,直到5万到4万年前,智人才到达了欧洲,与当地人类亚种展开竞争。
所以从以上的进化循序上看,智人是最后一支尝试走出非洲大陆的古人类,所以这些留下非洲与欧亚大陆门户的古人类脚印完全有可能是其他人类亚种留下的。
不过要想分辩这是谁的脚印,并难不倒科学家。

我们通过对脚印进行数字高程模型(DEM)分析,就能得出来猜出这个脚印人的体重、身高、以及步态,通过以往化石我们对其他古人类的了解,就能分辨出这个脚印是谁的。
结论正是指向了智人。这次的发现说明了,智人迁徙的路线,以及大致的时间。

上图就显示了智人从非洲开始向全球扩散,以及到达这些地方的时间。
这段时间也成为了人类进化最关键的时期,这也解释了为何目前在地球上只保留了一个人种,而其他的人类亚种为什么都灭绝了。
其中的原因包括,其他的人类亚种有些因为不适应环境、或者因为一些自然灾害而灭绝,但是最大的原因还是智人的入侵,与当地人种竞争,占据生存空间,导致了它们的灭绝。
例如我们最为熟悉的尼人,它们在智人达到欧洲、亚洲的时候已经在那里生活的数十万年,但是智人的出现,是它们灭绝的最大因素。

在这期间智人还和尼人发生过杂交,从我们现代人类的基因中,我们发现了尼人的基因组成。而目前非洲当地的人中却没有这种基因。
这次的发现还表明了,阿拉伯半岛北部对人类史前研究的重要性。其他动物化石的发现也说明,这个地方曾经非常肥沃,吸引了大量的生物往这边迁徙,这也是智人走上这条路,最后进入欧亚大陆最为关键的地方。
除了这次发现的足迹证据,表明了智人的迁徙路线和时间以外,我们通过对全球各个地区的人的基因进行测定。

发现我们都有共同的起源,例如全球男性身体里的Y染色体,这个基因是在男性身上一脉单传的,追踪Y染色体的来源,我们就能发现人类男性的最近祖先生活在非洲,距离今天大约有10万年。
线粒体基因只会遗传母亲的,所以追踪线粒体基因的来源,我们发现了人类最近的母系祖先,生活在距今天大约20万年的一位非洲女性。
因此从各种证据上来看,目前关于人类的起源都指向了非洲单源说。我们都来自于非洲!
-
- 郑爽在美国目前成功怀孕?金主身份遭曝光,让人太意外
-
2025-06-22 09:42:43
-
- 陈维聪:26岁红遍广东,与妻子姚珊相爱31岁,59岁的他成为陈叔
-
2025-06-22 09:40:28
-
- 王姬:当年我拍吻戏,都提前先去医院检查一下
-
2025-06-22 09:38:13
-
- 他曾是烟台青岛市委书记 竟被两个女人迷倒拉下水
-
2025-06-22 09:35:58
-
- 程愫:花21年捧红傅程鹏,丈夫走红就离婚,5年后2人境遇天差地别
-
2025-06-22 09:33:43
-
- 迪拜王子哈曼丹:迪拜万亿帝国的继承人,他的生活有多奢侈?
-
2025-06-22 09:31:28
-
- 扒一扒喜茶等头部新茶饮品牌老板的前传,学历最高的是?
-
2025-06-22 09:29:12
-
- 程琳37岁近况:曾是非主流女神的网红鼻祖现状
-
2025-06-22 09:26:57
-
- 励志!脑瘫男孩697分考入清华!
-
2025-06-21 16:43:33
-
- 细说3大仿石漆——真石漆、水包砂、水包水
-
2025-06-21 16:41:18
-
- 性生活时,女生的胸不能随便亲吻?为了伴侣健康,不要轻易触碰!
-
2025-06-21 16:39:03
-
- 沪指午后重回4100点 创业板指重挫6%
-
2025-06-21 16:36:48
-
- 日照8大特色美食,鲜得你舌头都要掉下来,没吃过就亏大了!
-
2025-06-21 16:34:33
-
- 强推12本高质量高干言情小说‖长宇宙的《势均力敌》过目难忘
-
2025-06-21 16:32:17
-
- 罗京儿子近况:名字取自唐诗,高中毕业赴美留学,越来越像父亲
-
2025-06-21 16:30:02
-
- 化妆品抗衰老成分(添加剂)最全盘点
-
2025-06-21 16:27:47
-
- 平谷必去的十大景点
-
2025-06-21 16:25:32
-
- 安徽省合肥市庐江县发展为什么这么迅速?
-
2025-06-21 16:23:17
-
- 不看后悔-神都洛阳超详细旅游攻略(包含景点、住宿、交通选择)
-
2025-06-21 16:21:02
-
- 63岁演员蔡明自曝低血糖,胆也被摘除了,常年不吃早饭惹的祸
-
2025-06-21 16:18:46



许凯妈妈旧照,看到他妈妈年轻时的样子,才知道他为啥这么帅气
丰田推出的倒三轮摩托车,只要1万多,可惜国内没有卖的