启东9月份七处地块将挂牌出让
启东9月份七处地块将挂牌出让
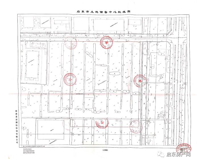
启东城区9月有七处地块未来将会进行土拍出让,分别是:南阳镇南阳村地块、经济开发区凯旋路南侧、经济开发区金桥路南侧、汇龙镇建设路东侧、南阳镇丁仓港路西侧、世纪大道北、金沙江路南侧、经济开发区华石路东侧。
NO.1 启东经济开发区金桥路南侧


竞买资格:中华人民共和国境内外的法人、自然人和其他组织均可参加,法律法规另有规定的除外。2013地块建成后由竞得人整体持有,不得分割销售。
地块编号:2013地块位于启东经济开发区金桥路南侧 土地面积45085.0 规划用地性质为商业/商务金融用地 容积率<2.3 建筑密度≤45.0% 15.0%≤绿化率 出让年限40年

NO.2 南阳镇南阳村


竞买资格:中华人民共和国境内外的法人、自然人和其他组织均可参加,法律法规另有规定的除外。
地块编号:2014地块位于南阳镇南阳村 土地面积17516.0 规划用地性质为商业/批发市场用地 容积率≤2.5 建筑密度≤55.0% 绿化率≤13.0% 出让年限39年

NO.3 启东经济开发区凯旋路南侧


竞买资格:中华人民共和国境内外的法人、自然人和其他组织均可参加,法律法规另有规定的除外。
地块编号:2016地块位于启东经济开发区凯旋路南侧 土地面积59841.0 规划用地性质为商住/城镇住宅用地 2.0≤容积率≤2.2 建筑密度≤20.0% 35.0%≤绿化率 出让年限70年

NO.4 汇龙镇建设路东侧


竞买资格:中华人民共和国境内外的法人、自然人和其他组织均可参加,法律法规另有规定的除外
地块编号:2003地块位于汇龙镇建设路东侧 土地面积2730.0 规划用地性质为商业/零售商业用地 1.0≤容积率≤1.2 建筑密度≤40.0% 15.0%≤绿化率 出让年限40年

NO.5 南阳镇丁仓港路西侧


竞买资格:该地块为迁建加油站建设用地
地块编号:2015地块位于南阳镇丁仓港路西侧 土地面积3084.0 规划用地性质为商业/零售商业用地 容积率≤0.5 建筑密度≤45.0% 绿化率≤15.0% 出让年限40年

NO.6 南阳镇丁仓港路西


竞买资格:该地块为上海姚记科技股份有限公司配套人才公寓建设用地,定向、限价销售。
地块编号:2022地块位于世纪大道北、金沙江路南侧 土地面积20000.0 规划用地性质为住宅/城镇住宅用地 1.8≤容积率≤2.1 建筑密度≤20.0% 35.0%≤绿化率 出让年限70年

NO.7 启东经济开发区华石路东侧


竞买资格:该地块为迁建加油站建设用地
地块编号:2007地块位于启东经济开发区华石路东侧 土地面积3016.0 规划用地性质为商业/零售商业用地 容积率≤0.4 10.0%≤建筑密度≤20.0% 10.0%≤绿化率 出让年限40年
来源:启东生活网
-
- 美国杀人兔事件
-
2025-04-30 06:48:22
-
- 8本经典工业强国,军工强国小说(工业,军工才是强国之基石)
-
2025-04-30 06:46:07
-
- 千岛湖梅峰景区
-
2025-04-30 06:43:52
-
- 蒙尘的明珠黄鹰的《大侠沈胜衣》:古龙武侠小说伪作系列第十七部
-
2025-04-30 06:41:37
-
- 《盗墓笔记》细思极恐的画面,西王母的脸最恐怖
-
2025-04-30 06:39:22
-
- 许昌公安:用“平安指数”保障“发展指数”
-
2025-04-30 06:37:07
-
- 听民声、知民情、解民忧!深圳市消防救援支队做客先锋898《民心桥》节目
-
2025-04-30 06:34:52
-
- 玛格丽特花的养殖方法和注意事项
-
2025-04-30 06:32:37
-
- 最近很火热的电视剧都有哪些?
-
2025-04-30 06:30:22
-
- 如何评价影视剧《陈情令》?
-
2025-04-30 06:28:07
-
- 清朝时期的宁古塔为什么被称为人间地狱,宁古塔究竟在哪个地方
-
2025-04-30 06:25:52
-
- 法桐飘絮已至尾声,可以开心的玩耍了
-
2025-04-30 06:23:37
-
- 有趣的人体彩绘:他在人体上画动物,简直以假乱真
-
2025-04-30 06:21:22
-
- 药明康德员工自爆年终奖、月薪,网友说:果然是行业老大啊
-
2025-04-29 15:11:32
-
- 西安免费又好玩的公园(一)昆明湖七夕公园
-
2025-04-29 15:09:16
-
- 变形记“神仙妹妹”梁小友21岁晒证当妈,和李勒优的生活天差地别
-
2025-04-29 15:07:02
-
- 愿得此身长报国,何须生入玉门关——戴叔伦
-
2025-04-29 15:04:47
-
- 史上第一“丑后”,让中国陷入了三百多年的分裂。
-
2025-04-29 15:02:32
-
- 湖南一地突发地震!
-
2025-04-29 15:00:17
-
- 安英美称男友不介意其拍大胆写真 为搞笑牺牲形象 金喜爱是她粉丝
-
2025-04-29 14:58:02



许凯妈妈旧照,看到他妈妈年轻时的样子,才知道他为啥这么帅气
丰田推出的倒三轮摩托车,只要1万多,可惜国内没有卖的